Estudo de Rigger
Quando abordamos o assunto de estudo de rigger, estamos tratando de um processo fundamental para todo um projeto de engenharia, o qual assegura serviços realizados com excelência, plena segurança e adequado à todas as diretrizes do Ministério do Trabalho. Para isso, é muito importante ter a certeza de contratar um estudo eficaz e preciso.
O estudo de rigger que realizamos na IPS Engenharia é provido de técnicas modernas e inovadoras, que visam suprir todas as necessidades das empresas, respeitando a todo momento todas as exigências de segurança e qualidade previstas pelas normas regulamentadoras vigentes em lei nacional.
Afinal, O Que É O Estudo de Rigger?
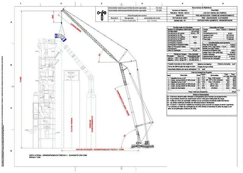
Falando de maneira geral e básica, o estudo deriggertrata-se de uma técnica muito versátil, visto que pode ser aplicada em diversos setores, desde construção civil, até mesmo de importação e exportação. É um estudo responsável por averiguar e obter informações sobre içamentos e transporte de cargas pesadas através de equipamentos como guindastes.
Sendo assim, podemos dizer que por meio do estudo de rigger é possível que os serviços de içamento e transportes de cargas sejam feitos da forma mais eficiente e com a segurança que é exigida pelas normas regulamentadoras previstas pelo Ministério do Trabalho.
É muito importante destacar que todo o procedimento envolvendo o estudo de rigger seja realizado por profissionais experientes e com habilitação, garantindo a precisão do projeto e a qualidade do mesmo.
A IPS É Uma Empresa Especialista em Estudo de Rigger
A IPS Engenharia é a empresa que mais se destaca no setor justamente pelo fato de contar com a sua vasta expertise em diversos assuntos voltados para a área,como por exemplo o estudo de rigger. Aquialiamos tudo isso aos melhores e mais modernos recursos, tendo como principal objetivo prestar uma assistência que supere às mais exigentes solicitações.
Visando a total satisfação de seus clientes, a IPS Engenharia se responsabiliza em efetuar um atendimento personalizado, suprindo às reais necessidades de empresas de grande, médio e pequeno porte, dos mais variados segmentos.
Regiões de São Paulo que Atendemos
- Aclimação
- Bela Vista
- BomRetiro
- Brás
- Cambuci
- Centro
- Consolação
- Higienópolis
- Glicério
- Liberdade
- Luz
- Pari
- República
- Santa Cecília
- Santa Efigênia
- Sé
- Vila Buarque
- Brasilândia
- Cachoeirinha
- Casa Verde
- Imirim
- Jaçanã
- Jardim São Paulo
- Lauzane Paulista
- Mandaqui
- Santana
- Tremembé
- Tucuruvi
- Vila Guilherme
- Vila Gustavo
- Vila Maria
- Vila Medeiros
- Água Branca
- Bairro do Limão
- Barra Funda
- Alto da Lapa
- Alto de Pinheiros
- Butantã
- Freguesia do Ó
- Jaguaré
- Perdizes
- Perús
- Pinheiros
- Pirituba
- Raposo Tavares
- Rio Pequeno
- São Domingos
- Sumaré
- Vila Leopoldina
- Vila Sonia
- Jaraguá
- Jardim Bonfiglioli
- Lapa
- Pacaembú
- Aeroporto
- Água Funda
- Brooklin
- Campo Belo
- Campo Grande
- Campo Limpo
- Capão Redondo
- Cidade Ademar
- Cidade Dutra
- Cidade Jardim
- Grajaú
- Ibirapuera
- Interlagos
- Ipiranga
- Itaim Bibi
- Jabaquara
- Jardim Ângela
- Jardim América
- Jardim Europa
- Jardim Paulista
- Jardim Paulistano
- Jardim São Luiz
- Jardins
- Jockey Club
- M'Boi Mirim
- Moema
- Morumbi
- Parelheiros
- Pedreira
- Sacomã
- Santo Amaro
- Saúde
- Socorro
- Vila Andrade
- Vila Mariana
- Água Rasa
- Anália Franco
- Aricanduva
- Artur Alvim
- Belém
- Cidade Patriarca
- Cidade Tiradentes
- Engenheiro Goulart
- Ermelino Matarazzo
- Guaianazes
- Itaim Paulista
- Itaquera
- Jardim Iguatemi
- José Bonifácio
- Mooca
- Parque do Carmo
- Parque São Lucas
- Parque São Rafael
- Penha
- Ponte Rasa
- São Mateus
- São Miguel Paulista
- Sapopemba
- Tatuapé
- Vila Carrão
- Vila Curuçá
- Vila Esperança
- Vila Formosa
- Vila Matilde
- Vila Prudente
- São Caetano do Sul
- São Bernardo do Campo
- Santo André
- Diadema
- Guarulhos
- Suzano
- Ribeirão Pires
- Mauá
- Embu
- Embu Guaçú
- Embu das Artes
- Itapecerica da Serra
- Osasco
- Barueri
- Jandira
- Cotia
- Itapevi
- Santana de Parnaíba
- Caierias
- Franco da Rocha
- Taboão da Serra
- Cajamar
- Arujá
- Alphaville
- Mairiporã
- Bertioga
- Cananéia
- Caraguatatuba
- Cubatão
- Guarujá
- Ilha Comprida
- Iguape
- Ilhabela
- Itanhaém
- Mongaguá
- Riviera de São Lourenço
- Santos
- São Vicente
- Praia Grande
- Ubatuba
- São Sebastião
- Peruíbe
Regiões
- Selecione uma região
- Rio de Janeiro
- São Gonçalo
- Duque de Caxias
- Nova Iguaçu
- Niterói
- São João de Meriti
- Campos dos Goytacazes
- Petrópolis
- Volta Redonda
- Magé
- Mesquita
- Nova Friburgo
- Barra Mansa
- Macaé
- Cabo Frio
- Itaboraí
- Resende
- Nilópolis
- Teresópolis
- Belford Roxo
- Belo Horizonte
- Uberlândia
- Contagem
- Juiz de Fora
- Betim
- Montes Claros
- Ribeirão das Neves
- Uberaba
- Governador Valadares
- Ipatinga
- Santa Luzia
- Sete Lagoas
- Divinópolis
- Ibirité
- Poços de Caldas
- Patos de Minas
- Teófilo Otoni
- Sabará
- Pouso Alegre
- Barbacena
- Varginha
- Conselheiro Lafeiete
- Araguari
- Itabira
- Passos
- Serra
- Vila Velha
- Cariacica
- Vitória
- Cachoeiro de Itapemirim
- Linhares
- Jaguaré
- Mimoso do Sul
- São Mateus
- Colatina
- Guarapari
- Aracruz
- Viana
- Nova Venécia
- Sooretama
- Anchieta
- Barra de São Francisco
- Santa Maria de Jetibá
- Castelo
- Marataízes
- São Gabriel da Palha
- Domingos Martins
- Pinheiros
- Pedro Canário
- Itapemirim
- Afonso Cláudio
- Alegre
- Baixo Guandu
- Conceição da Barra
- Guaçuí
- Iúna
- Bertioga
- Caraguatatuba
- Cubatão
- Guarujá
- Ilhabela
- Itanhaém
- Mongaguá
- Riviera de São Lourenço
- Santos
- São Vicente
- Praia Grande
- Ubatuba
- São Sebastião
- Peruíbe
- São José dos campos
- Campinas
- Jundiaí
- Sorocaba
- Indaiatuba
- São José do Rio Preto
- Itatiba
- Amparo
- Barueri
- Ribeirão Preto
- Marília
- Louveira
- Paulínia
- Bauru
- Valinhos
- Bragança Paulista
- Araraquara
- Americana
- Atibaia
- Taubaté
- Araras
- São Carlos
- Itupeva
- Mendonça
- Itu
- Vinhedo
- Marapoama
- Votuporanga
- Hortolândia
- Araçatuba
- Jaboticabal
- Sertãozinho
- Curitiba
- Londrina
- Maringá
- Ponta Grossa
- Cascavel
- Castro
- Rolândia
- São José dos Pinhais
- Foz do Iguaçu
- Colombo
- Guarapuava
- Paranaguá
- Araucária
- Toledo
- Apucarana
- Pinhais
- Campo Largo
- Almirante Tamandaré
- Umuarama
- Paranavaí
- Piraquara
- Cambé
- Sarandi
- Fazenda Rio Grande
- Paranavaí
- Francisco Beltrão
- Pato Branco
- Cianorte
- Telêmaco Borba
- Joinville
- Florianópolis
- Blumenau
- Itajaí
- São José
- Navegantes
- Chapecó
- Criciúma
- Jaraguá do sul
- Lages
- Palhoça
- Itapema
- Camboriú
- Balneário Camboriú
- Brusque
- Tubarão
- São Bento do Sul
- Caçador
- Concórdia
- Rio do Sul
- Araranguá
- Gaspar
- Biguaçu
- Indaial
- Mafra
- Canoinhas
- Porto Alegre
- Caxias do Sul
- Pelotas
- Canoas
- Santa Maria
- Alegrete
- Gravataí
- Viamão
- Novo Hamburgo
- São Leopoldo
- Rio Grande
- Alvorada
- Passo Fundo
- Sapucaia do Sul
- Uruguaiana
- Santa Cruz do Sul
- Cachoeirinha
- Bagé
- Bento Gonçalves
- Erechim
- Guaíba
- Cachoeira do Sul
- Santana do Livramento
- Esteio
- Ijuí
- Recife
- Jaboatão dos Guararapes
- Olinda
- Caruaru
- Petrolina
- Paulista
- Surubim
- Cabo de Santo Agostinho
- Camaragibe
- Garanhuns
- Vitória de Santo Antão
- Igarassu
- São Lourenço da Mata
- Abreu e Lima
- Santa Cruz do Capibaribe
- Ipojuca
- Serra Talhada
- Araripina
- Gravatá
- Carpina
- Goiana
- Belo Jardim
- Arcoverde
- Ouricuri
- Escada
- Pesqueira
- Palmares
- Bezerros
- Salvador
- Feira de Santana
- Vitória da Conquista
- Camaçari
- Itabuna
- Juazeiro
- Lauro de Freitas
- Ilhéus
- Jequié
- Teixeira de Freitas
- Alagoinhas
- Barreiras
- Porto Seguro
- Simões Filho
- Paulo Afonso
- Santo Antônio de Jesus
- Valença
- Candeias
- Guanambi
- Jacobina
- Serrinha
- Senhor do Bonfim
- Dias d'Ávila
- Luís Eduardo Magalhães
- Itapetinga
- Irecê
- Campo Formoso
- Eunápolis
- Casa Nova
- Brumado
- Bom Jesus da Lapa
- Conceição do Coité
- Itamaraju
- Itaberaba
- Cruz das Almas
- Ipirá
- Santo Amaro
- Euclides da Cunha
- Fortaleza
- caucacia
- Juazeiro do Norte
- Maracanaú
- Sobral
- Crato
- Itapipoca
- Maranguape
- Iguatu
- Quixadá
- Pacajus
- Crateús
- Aquiraz
- Pacatuba
- Canindé
- Quixeramobim
- São Luís
- Imperatriz
- São José de Ribamar
- Timon
- Caxias
- Codó
- Paço do Lumiar
- Açailândia
- Bacabal
- Balsas
- Barra do Corda
- Teresina
- São Raimundo Nonato
- Parnaíba
- Picos
- Uruçuí
- Floriano
- Piripiri
- Campo Maior
- Goiânia
- Aparecida de Goiânia
- Anápolis
- Rio Verde
- Luziânia
- Águas Lindas de Goiás
- Valparaíso de Goiás
- Trindade
- Formosa
- Novo Gama
- Itumbiara
- Senador Canedo
- Catalão
- Jataí
- Anápolis
- Planaltina
- Caldas Novas
- Campo Grande
- Dourados
- Corumbá
- Ponta Porã
- Maracaju
- Sidrolândia
- Naviraí
- Nova Andradina
- Aquidauana
- Paranaíba
- Três Lagoas
- Amambai
- Rio Brilhante
- Cuiabá
- Várzea Grande
- Sinop
- Tangará da Serra
- Cáceres
- Sorriso
- Lucas do Rio Verde
- Primavera do Leste
- Barra do Garças
- Alta Floresta
- Pontes e Lacerda
- Nova Mutum
- Campo Verde
- Juína
- Rondonópolis
- Colniza
- Manaus
- Parintins
- Itacoatiara
- Manacapuru
- Coari
- Centro Amazonense
- Alvaraes
- Amatura
- Anama
- Anori
- Apui
- Atalaia do Norte
- Codajas
- Eirunepe
- Envira
- Fonte Boa
- Guajara
- Humaita
- Belém
- Ananindeua
- Santarém
- Marabá
- Castanhal
- Parauapebas
- Itaituba
- Cametá
- Bragança
- Abaetetuba
- Bragança
- Marituba
